Hümes - 1. vereinfachte Änderung

Bekanntmachung des Aufstellungsbeschlusses gemäß § 2 Abs. 1 Baugesetzbuch (BauGB)
Bekanntmachung der Öffentlichkeitsbeteiligung gemäß § 3 Absatz 2 BauGB i.V.m. § 13 BauGB
Der Ortsgemeinderat der Ortsgemeinde Netzbach hat in seiner Sitzung am 09.12.2024 den Aufstellungsbeschluss zur 1. Änderung des Bebauungsplanes „Hümes“ gefasst sowie die Beteiligung der Öffentlichkeit gemäß § 3 Absatz 2 BauGB beschlossen.
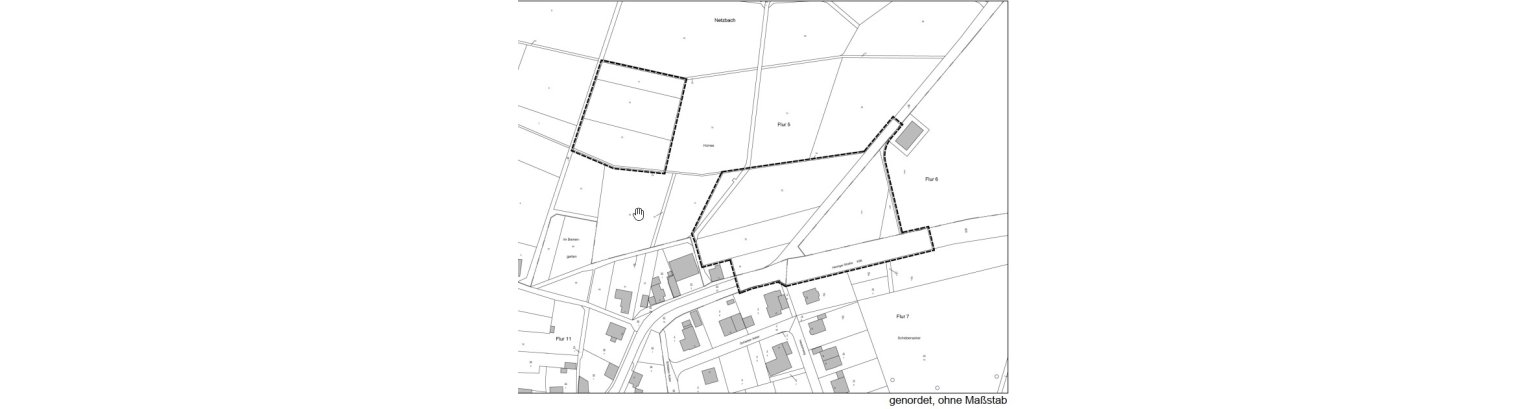
Aufgrund des § 4a Absatz 2 des Baugesetzbuches (BauGB), in der Fassung der Bekanntmachung vom 03. November 2017 (BGBl. I S. 3634), das zuletzt durch Artikel 3 des Gesetzes vom 20.12.2023 (BGBl. 2023 I Nr. 394) geändert worden ist, wird der Bebauungsplanentwurf "Hümes" 1. Änderung im Internet veröffentlicht. Die Abgrenzung des Geltungsbereiches ist der nachfolgenden Übersichtskarte zu entnehmen.
Gleichzeitig wird darauf hingewiesen, dass im vereinfachten Verfahren nach § 13 BauGB von der Umweltprüfung nach § 2 Absatz 4 BauGB, von dem Umweltbericht nach § 2a BauGB, von der Angabe nach § 3 Absatz 2 Satz 2 BauGB, welche Arten umweltbezogener Informationen verfügbar sind, sowie von der zusammenfassenden Erklärung nach § 10a Absatz 1 BauGB und Monitoring nach § 4 c BauGB, abgesehen wird.
Gegenstand der 1. Änderung des Bebauungsplanes „Hümes“ sind ausschließlich die nachfolgend aufgeführten Punkte:
- die Festsetzung einer Verkehrsfläche besonderer Zweckbestimmung „Fußweg“ (öffentlich),
- die Verlängerung des Bereiches ohne Ein- und Ausfahrten entlang der dem Mischgebiet zugewandten Seite des Wirtschaftsweges,
- die Aufnahme einer Zuordnungsfestsetzung zu den Ausgleichsmaßnahmen,
- ein redaktioneller Hinweis zu Anlagen von Zisternen auf den jeweiligen Baugrundstücken.
Alle sonstigen bauplanungsrechtlichen Festsetzungen und bauordnungsrechtlichen Gestaltungsvorschriften des Bebauungsplanes „Hümes“ gelten unverändert fort.
Der Entwurf des Bebauungsplanes einschließlich zugehöriger Begründung wird in der Zeit vom
19.05.2025 - einschl. 23.06.2025
auf der Internetseite der Verbandsgemeindeverwaltung Aar-Einrich www.vg-aar-einrich.de unter der Rubrik Rathaus & VG – Bauen & Wohnen – Bauleitplanung im Verfahren – Ortsgemeinde Netzbach veröffentlicht. Desweitern kann nach § 4a Absatz 4 BauGB der Planentwurf im Internet auch über die Internetseite www.geoportal.rlp.de eingesehen werden.
Zusätzlich zur Veröffentlichung im Internet erfolgt während der Dauer der Veröffentlichungsfrist eine öffentliche Auslegung in der Verbandsgemeindeverwaltung Aar-Einrich, Verwaltungsstelle Hahnstätten, Bauabteilung, Austraße 4, 65623 Hahnstätten. Die Einsichtnahme ist während der üblichen Dienststunden der Verwaltung sowie nach Vereinbarung möglich.
Während der genannten Dauer der Veröffentlichungsfrist können Stellungnahmen abgegeben werden. Gemäß § 3 Abs. 2 Nr. 2 BauGB wird darauf hingewiesen, dass Stellungnahmen elektronisch übermittelt werden sollen (z.B. textlich per E-Mail an bauleitplanung@vg-aar-einrich.de). Bei Bedarf können Stellungnahmen aber auch auf anderem Weg, zum Beispiel schriftlich, in Textform oder mündlich zur Niederschrift, abgegeben werden.
Gemäß § 4b BauGB wurde ein Planungsbüro mit der Durchführung des Verfahrens beauftragt.
Katzenelnbogen, den 28.04.2025
Lars Denninghoff
Bürgermeister

Unterlagen zur Offenlage:
